•  Email:tl@jstrealtygroup.com
Navigation Thailand's best realty company. Thailand's best realty company.
Talk to Our Experts
+668 5996 9899
  • Home
  • Properties
    • Types
      • Condo
        • Condo – Duplex
        • Condo – Penthouse
        • Condo – Penthouse – Duplex
        • Condo – Penthouse – Triplex
      • Single House
      • House with Swimming Pool
      • Office Space
      • Pool Villa
      • Townhouse
      • Land
      • Hotel
    • Status
      • Sale
      • Rent
  • Submit Property
  • Contact Us
  • Blog
    • Villa for Sale

Land 13 rais near MRT Bang Yai (900246)

Property Detail

Type Land Status Sale Location Nonthaburi Sub Location Bang Yai Price ฿43,016,375 Area (Sq.M.)22,202Property ID900246

Property Description

Land near MRT Bang Yai
Bang Khu Rat Subdistrict Bang Bua Thong District, Nonthaburi
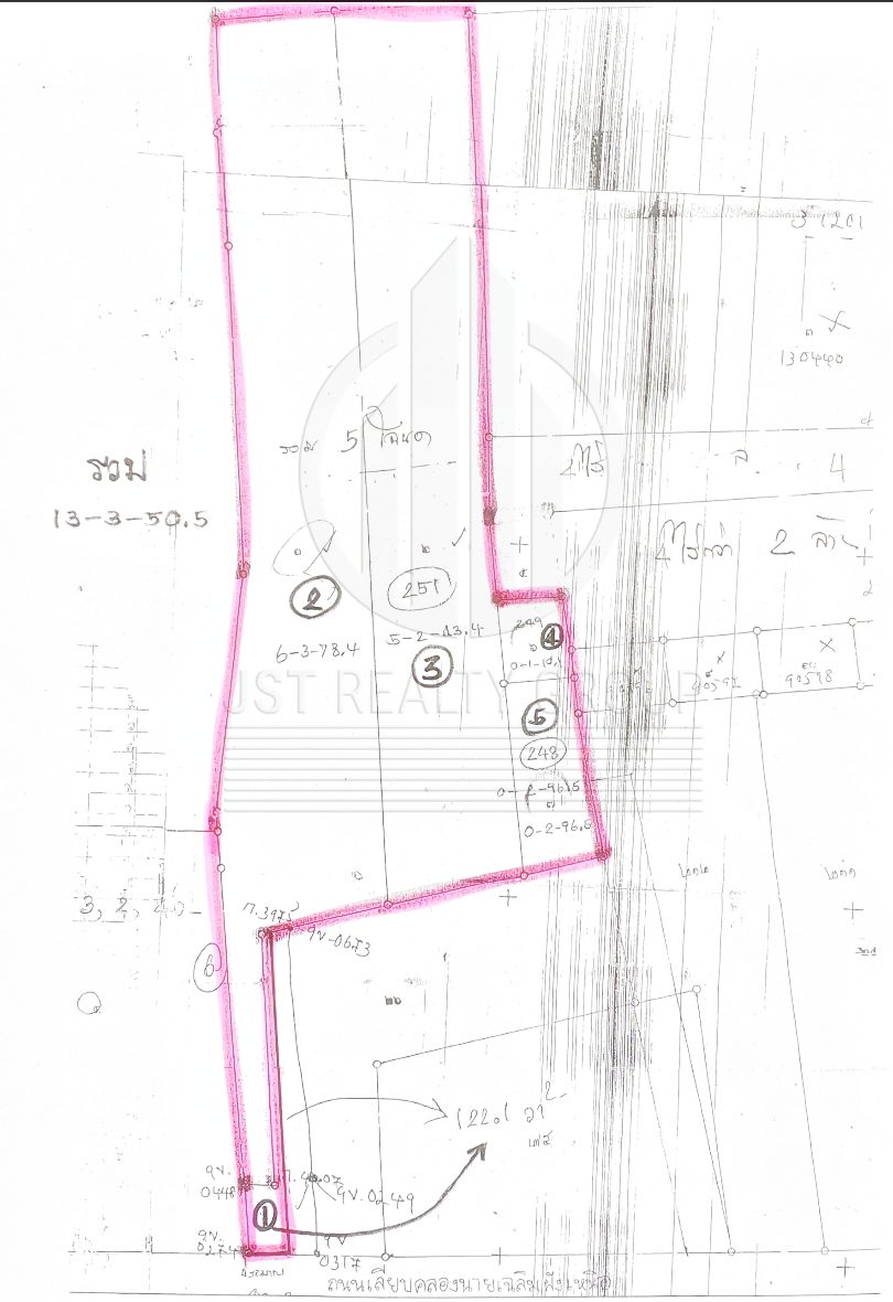
Land area 13-3-50.5 rai or 5,550.5 square wa or 22,202 square meters
12 meters wide
345 meters long
Neighborhood :MRT Bangyai Market ,Central Westgate
For sale 43,016,375 baht
3,100,000 baht per rai
The information is the most current. !!!Call now for property visits

ที่ดิน ใกล้ MRT บางใหญ่
ตำบลบางคูรัด อำเภอบางบัวทอง นนทบุรี
เนื้อที่ดิน  13-3-50.5  ไร่ หรือ 5,550.5 ตารางวา หรือ 22,202 ตารางเมตร
กว้าง 12 เมตร
ยาว 345 เมตร
สถานที่ใกล้เคียง :MRT ตลาดบางใหญ่ ,เซ็นทรัล เวสต์เกต
ขาย 43,016,375  บาท
ไร่ละ 3,100,000 บาท
ข้อมูลเป็นปัจจุบันที่สุดคะ !!!โทรตอนนี้เลย เพื่อการเข้าชมทรัพย์

 

Property Features

Location on map

Contact Agent

Tharnthip L.
tl@jstrealtygroup.com/home
Managing Director
+668 5996 9899
tlloam
www.jstrealtygroup.com
Tharnthip L.

    Similar Properties

    Land 3 rais at Khlong Sam Wa (900215)

    6,268 Sq.M.
    ฿86,185,000
    More Details

    Land 2-0-50.0 Onnut 63 for Sale (902451)

    3400 Sq.M.
    ฿220,000,000
    More Details

    Leave Your thought on this post Cancel reply

    Your email address will not be published. Required fields are marked *

    2026 JST Realty Group. All Rights Reserved.

    The Trendy Office Unit no. 601B, 6 Floor, Sukhumvut Soi 13, Sukhumvit Road,
    Klongtoie Nue, Wattana, Bangkok 10110